Neuigkeiten
Termine
Kontakt
Anmelden
Startseite (ALT + 0)
Zum Inhalt (ALT + 1)
Zur Suche (ALT + 2)
Zum Kontakt (ALT + 3)
Unser Metnitz
Über die Gemeinde
Metnitzer Journal
Neuigkeiten
Termine
Amtstafel
Inventarliste lt. Artikel 6 EEDIII
Elektr. Amtsblatt & Verordnungen
Kundmachungen
Gebühren, Abgaben & Tarife
Formulare
Sitzungsprotokolle
Wahlen
Bürgerservice
Fundamt
Bauen & Wohnen
Gesellschaftsleben & Vereine
Kunst, Kultur & Religion
Sicherheit
Tourismus
Schwarzes Brett
Wasser & Kanal
Wirtschaft
Politik
Verwaltung
Neuigkeiten
Termine
Kontakt
Anmelden
Bürgerservice
Bauen & Wohnen
Bauen & Wohnen
Die neue Kärntner Heizungsanlagenverordnung
Die neue Kärntner Heizungsanlagenverordnung
Die neue Kärntner Heizungsanlagenverordnung
Freie Wohnungen
Freie Wohnungen
←
→
Seite
/
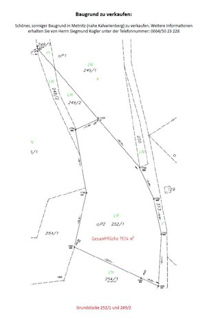
Freie Baugrundstücke
Kalvarienweg
Kalvarienweg
Sonnleiten
Sonnleiten
KG
Grundstücksnummer
Größe m²
Widmung
Zone rot/gelb
74305
24/12
786
Bauland - Wohngebiet
keine
KG
Grundstücksnummer
Größe m²
Widmung
Zone rot/gelb
74305
24/17
914
Bauland - Wohngebiet
teilw. gelbe Zone
Mödring
Mödring
KG
Grundstücksnummer
Größe m²
Widmung
Zone rot/gelb
74301
5317/7
572
Bauland - Dorfgebiet
keine
Badstraße
Badstraße